こちら WEB予約 ウルセラ
サーマクールFLX
ソフウェーブ
専用予約 ウルセラ・サーマクールFLX・
ソフウェーブ専用予約
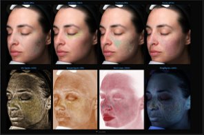
VISIA (肌画像診断器)
最先端のカメラを搭載し
高性能な解析技術で
肌状態や肌年齢を診断
こんな方へおすすめです
- 自分の肌の現状や
肌質を診断したい - これからどんな肌に
変化するか知りたい - 自分の肌を
同世代と比較したい - 治療の前後の効果を
目で見たい - 今後必要な治療を
提案してほしい
VISIA(肌画像診断器)とは?
VISIA(ビジア)は、最先端のカメラと解析技術で、しみやきめ、シワ、毛穴、炎症、ポルフィリン(アクネ菌の代謝物)、肌年齢などを診断する高性能な肌診断器です。肌の現在の状態と将来の予測がわかり、効果的な治療の提案が可能になります。
VISIAによってわかること
しみの解析
カラーの画像で、色・形・大きさなど肌の色素沈着を解析。見た目ではわかりづらい薄いしみやそばかす、肝斑も判別します。
隠れじみの解析
現状は肌表面には表れておらず将来的に出現する可能性のある隠れたしみをUV画像で確認できます。
毛穴の解析
周辺の部位より凹んでいる毛穴を、カラー画像に映る陰影から判別。数や形を解析します。
シワの解析
カラー画像により、シワを周辺の皮膚の色より暗く細い線形と判別し、その本数や位置などを解析します。
キメの解析
写真に写りこんだ範囲内での肌の色を判別し、皮膚の凹凸を判別。皮膚表面のなめらかさ、キメの細やかさを解析します。
ニキビ肌の傾向の解析
UV撮影により、ポルフィリンとよばれるアクネ菌の代謝物の量を解析することにより、ニキビができやすい肌かどうかがわかります。
皮膚の色の解析
皮膚の色を構成しているメラニンやヘモグロビンなどを判別し、治療前後で赤ら顔やニキビ、色素沈着の改善効果を測定します。
肌年齢の解析
これまでVISIAで診断した約109,300人(日本人11,000人含む)分の測定結果をデータベース化し、自分の分析結果と同世代の平均値を比較できます。
料金
VISIA(肌画像診断器)
5,500円(税込)
※VISIAのみのご予約は承っておりません。
※ステラM22・PQXピコレーザー(トーニング)・アキュパルス(ホクロ取り・いぼ取りは含まれません)での施術を受けられる、トライアル・初診・コース契約の方のみ無料になります。
※ポテンツァ(ダイヤモンドチップ・ニキビショットは除く)は顔全体のトライアル・初診の方のみ無料になります。
※保険診療適用外の自由診療です。